Page Banner
Home / Collections / Cemetery Records
HOME NEWS and ARCHIVES COLLECTIONS - Union Cemetery Records - Olde Burial Ground - Civil War Soldiers GENEALOGY PHOTOGRAPHS HISTORICAL SOCIETY LINKS and RESOURCES
The Union Cemetery
The Union Cemetery Association of Hackettstown was established in 1857 for the purpose of organizing a rural cemetery association. In 1859, the nine Trustees met to discuss the parcel of land along the Musconetcong River offered by Isaac W. and David E. Crane for use as the cemetery. An additional strip of land fifty feet wide, to be used as the entrance to the cemetery, was negotiated with William Rea, M.D.

The first burials in Union Cemetery included Robertson D. Ayers, James Drake, Phebe Sutton, Julia Ann Clawson, Mary Ann Reed and David Martin.

 
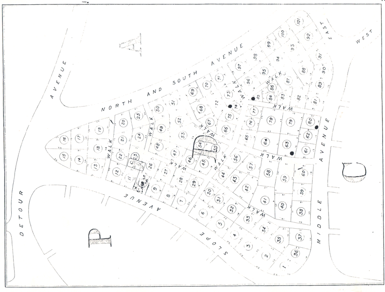
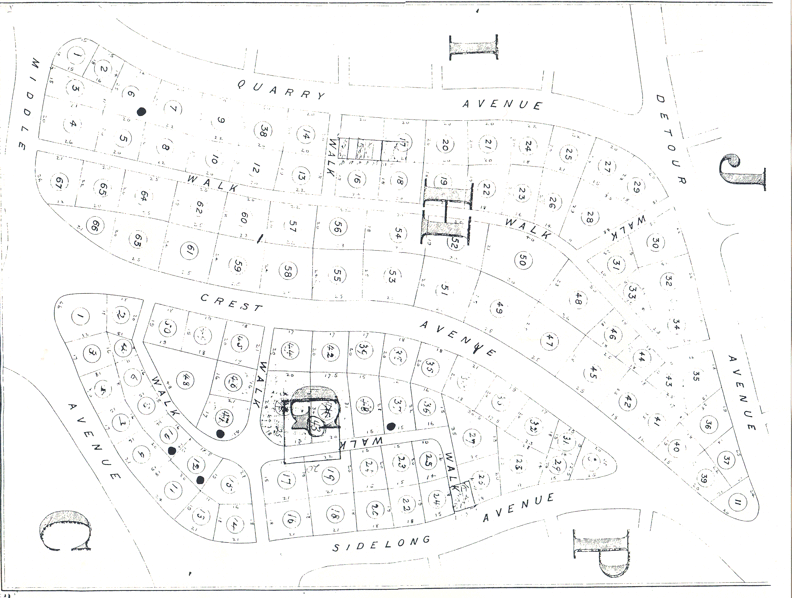
Union Cemetery Plot Maps
Click on the links below to view Union Cemetery plot maps. The dark black dots on the maps indicate the gravesites locations of Hackettstown Civil War soldiers.
Cemetery Map
Plot Area A
Plot Area B
Plot Area C
Plot Area D

Plot Areas E, F
Plot Areas G, H
Plot Area I
Plot Areas J, M, N

To print these maps, use the Print button on your web browser.

Union Cemetery Interment Index - Partial

This is an index of all documented interments from November 1869 to December 2012. It was developed using the interment records made available by Union Cemetery. It is believed that there were many earlier interments but the existing records begin with the aforementioned date. To access this list please click on the link below. To search for specific name click on "EDIT then FIND" on top the toolbar after you have opened the index.

Union Cemetery index 11_1869 to 12_2012

 
If you would like to contribute information to this site, please forward it to the Webmaster. Submissions are subject to review and publication is at the discretion of the Hackettstown Historical Society.

Search Our Collections

Now over 550 cemetery records and more added regularly! Check often for your ancestors!

Support the Burial Grounds
Established in 1763, the Olde Presbyterian Burial Grounds was the first burial ground in Hackettstown. It is the final resting place for members of many of the Hackettstown's ancestral families.

For volunteer opportunities or more information, please contact the Olde Burial Ground Restoration Committee at (908)-852-5941